Satélites fazem imagens absurdas do furacão Melissa antes de atingir a Jamaica
Por Nathan Vieira • Editado por Melissa Cruz Cossetti | •

O furacão Melissa que se aproxima da Jamaica, na América Central, se tornou o centro das atenções globais nesta semana. O que começou como uma tempestade tropical* no Caribe evoluiu rapidamente para um poderoso furacão** de categoria 5, o nível mais alto da escala Escala Saffir-Simpson. Agora, os satélites estão registrando imagens impressionantes da formação e do avanço, que mostram, em detalhes sem precedentes, o tamanho e a fúria deste fenômeno.
- Os furacões espaciais são reais — e causam ainda mais estragos do que se pensava
- Pacífico Sul registra três ciclones tropicais simultâneos
O Centro Nacional de Furacões dos Estados Unidos (NHC) classificou o fenômeno como categoria 5, e a velocidade com que Melissa se intensificou impressionou meteorologistas e reforçou a influência das águas excepcionalmente quentes do Caribe neste ano.
Escala de furacões de Saffir-Simpson
-
Categoria 1: ventos de 119 a 153 km/h
→ Danos leves: telhas soltas, galhos quebrados e quedas pontuais de energia. -
Categoria 2: ventos de 154 a 177 km/h
→ Danos moderados: casas e telhados frágeis sofrem estragos; energia pode faltar por vários dias. -
Categoria 3 (furacão maior): ventos de 178 a 208 km/h
→ Danos graves: árvores arrancadas, telhados destruídos, eletricidade e água indisponíveis por dias. -
Categoria 4 (furacão maior): ventos de 209 a 251 km/h
→ Danos catastróficos: destruição de casas, inundações costeiras, longos períodos sem energia. -
Categoria 5 (furacão maior): ventos a partir de 252 km/h
→ Destruição quase total: colapso de construções, inundações extremas, regiões inteiras isoladas.
*Tempestade tropical é o estágio antes de virar furacão.
**Categoria 1 já marca o início da classificação de furacões na Escala Saffir–Simpson.
Temperaturas elevadas da superfície do mar, baixa cisalha de vento e uma atmosfera carregada de umidade foram os fatores alimentaram o furacão, que agora ameaça se tornar o mais destrutivo da história da Jamaica, superando até mesmo o lendário furacão Gilbert, de 1988.
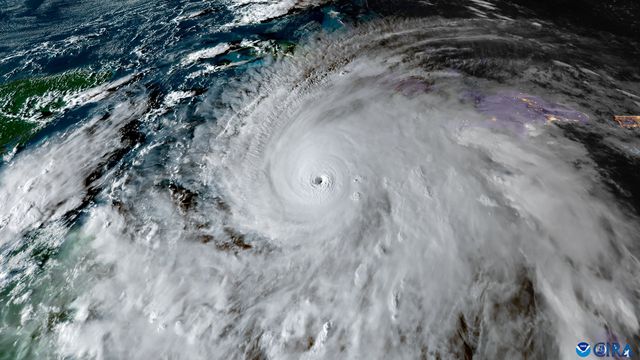
Satélites revelam a simetria assustadora do furacão
Graças à tecnologia de observação espacial, cientistas puderam acompanhar o nascimento e o amadurecimento do furacão Melissa com riqueza de detalhes. Os satélites geoestacionários da NOAA, especialmente o GOES-19, registraram imagens absurdas da estrutura do ciclone, revelando o momento exato em que se tornou um sistema simétrico e perfeitamente organizado.
As imagens mostram o olho do furacão em contraste com as enormes bandas de nuvens que giram ao redor, como um vórtice hipnotizante sobre o mar do Caribe. A partir dessas capturas, meteorologistas conseguem medir o tamanho do olho, identificar relâmpagos internos e monitorar as regiões de maior atividade convectiva, detalhes essenciais para prever a trajetória e a intensidade do sistema.
As imagens também revelam como o furacão Melissa “pisou no freio” ao se aproximar da Jamaica. O deslocamento lento, somado à força dos ventos e ao volume extremo de chuva, aumenta o potencial destrutivo, já que o furacão permanece mais tempo sobre o mesmo território afetado.
A ameaça à Jamaica e ao Caribe
De acordo com as últimas projeções, Melissa deve atingir a costa sul da Jamaica com ventos devastadores, chuva torrencial e ondas gigantes. Autoridades locais já alertam para riscos extremos de deslizamentos, enchentes repentinas e destruição generalizada. Estima-se que algumas regiões possam registrar até 40 polegadas de chuva (mais de 1 metro de precipitação).
Com mais de três milhões de habitantes, a Jamaica se prepara para enfrentar o que pode ser o maior desastre natural de sua história moderna. Depois de atravessar a ilha, o furacão deve seguir rumo a Cuba, Haiti e República Dominicana, ainda com força suficiente para causar estragos significativos.
Vale lembrar que as imagens capturadas pelos satélites são vitais para salvar vidas. Elas permitem que cientistas monitorem o avanço do furacão em tempo real e ofereçam previsões mais precisas sobre a rota e a intensidade da tempestade. Enquanto a Jamaica se prepara para o impacto, o mundo observa de cima e de longe a formação do devastador furacão Melissa.
Leia também:
- Novo modelo de IA do Google para mapas funciona como um satélite virtual
- Falha catastrófica: 50% dos satélites são vulneráveis e vazam dados sigilosos
VÍDEO | FOTOS DA GALAXIA DIRETAMENTE DO ESPAÇO | Curiosidades